Finca rústica en SANTA ELENA DE JAMUZ

Visitas: 19 · SANTA ELENA DE JAMUZ · León

📅 Procesada hace 22 días
Finca rústica en SANTA ELENA DE JAMUZ imagen 1
1 / 3
⏰ Finalizada

Finalizó hace 4 días

Valoración inicial: 2315,00 €

Valor actual de la puja: 231,53 €-90%

Descripción

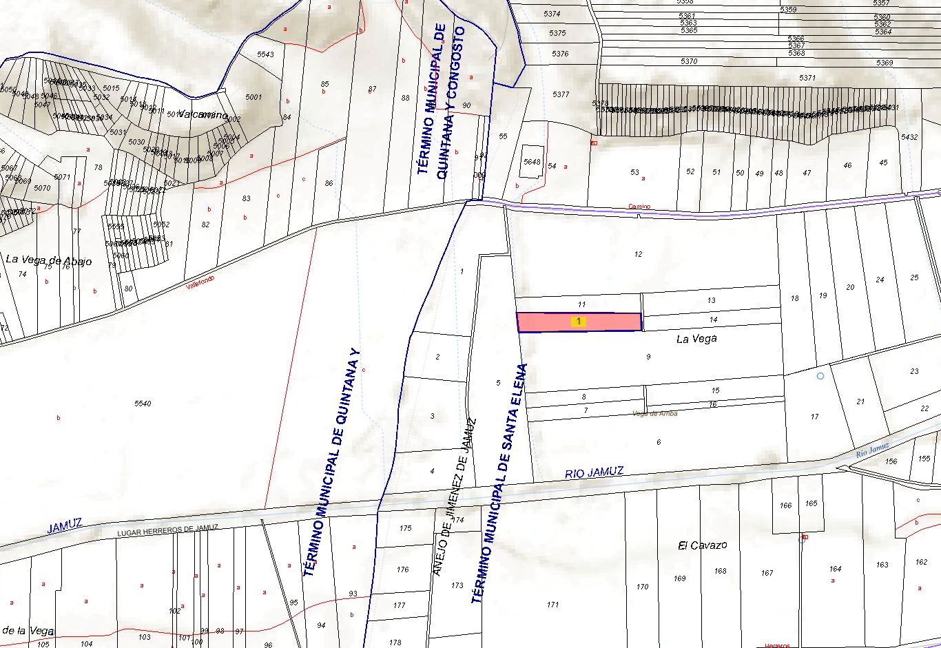
100% PLENO DOMINIO. RUSTICA: SECANO NÚMERO 10 DEL POLÍGONO 15 DE LA ZONA DE CONCENTRACIÓN DE JIMÉNEZ DE JAMUZ, AYUNTAMIENTO DE SANTA ELENA DE JAMUZ, AL SITIO DE LA VEGA. LINDEROS: NORTE, Nº 11 DE INÉS CABAÑAS SUR, Nº 9 DE JOSEFA CABAÑAS ESTE, CAMINO DE SERVICIO OESTE, Nº 5 DE AGRIPINA GARCÍA. TIENE UNA SUPERFICIE DE TREINTA Y CINCO ÁREAS, SESENTA Y CINCO CENTIÁREAS. INDIVISIBLE. ES LA PARCELA NÚMERO 10 DEL POLÍGONO 215 DEL CATASTRO.

Más información sobre esta subasta

Esta subasta pública incluye pisos, casas, trasteros, garajes y solares embargados. Aprovecha la oportunidad de pujar online de forma segura y conocer los detalles de cada bien subastado.

Consulta todas las subastas en nuestra web para encontrar subastas de inmuebles, pisos, casas y solares en distintas provincias y municipios. Mantente informado sobre los precios iniciales, valoraciones y estado de cada subasta.

Subastas relacionadas

Explora más subastas