Solar en VALDEFRESNO

Visitas: 21 · VALDEFRESNO · León

📅 Procesada hace 1 año
Solar en VALDEFRESNO imagen 1
1 / 4
⏰ Finalizada

Finalizó hace 1 año

Valoración inicial: 471.630,00 €

Valor actual de la puja: Sin valor

Descripción

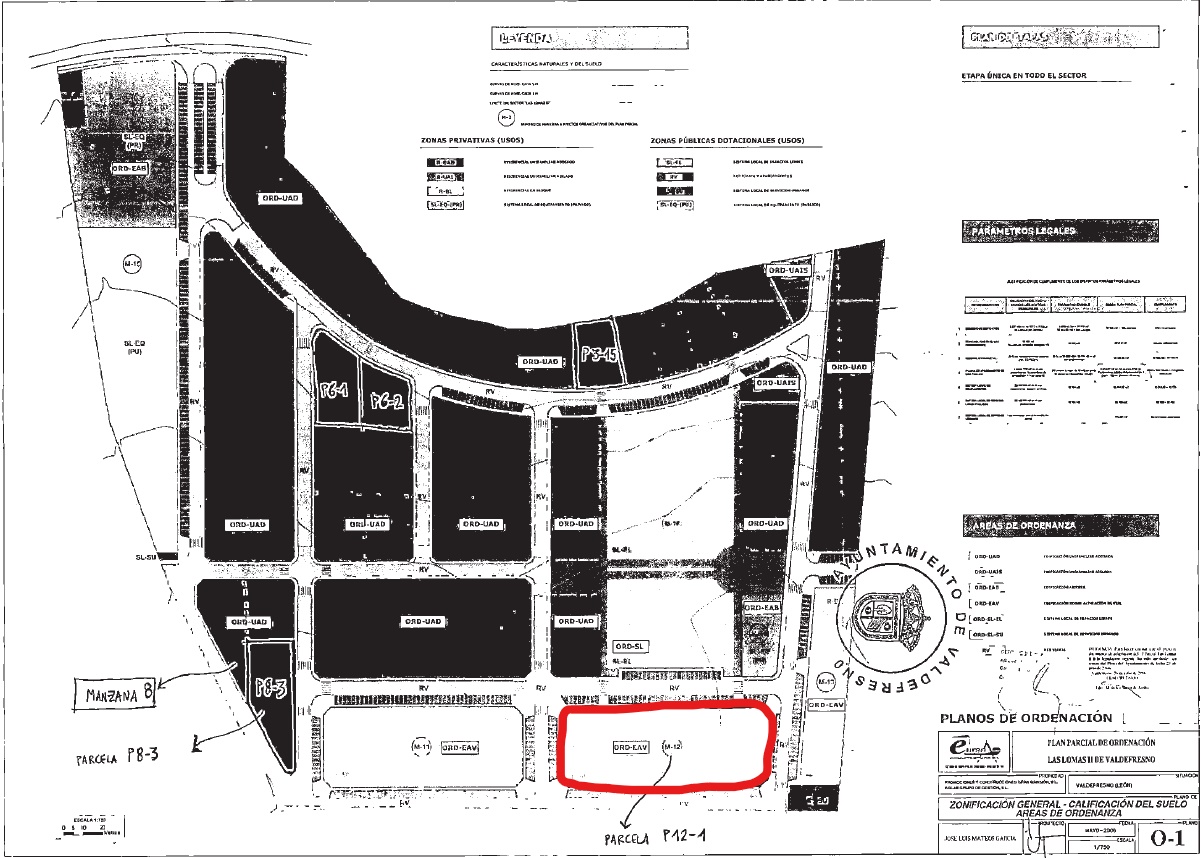
50% PLENO DOMINIO. URBANA:SOLAR.LOCALIZACIÓN:URBANIZACIÓN LAS LOMAS II P12-1.SECTOR LAS LOMAS II DE VALDEFRESNO.CUOTA:14,057026%.MANZANA 12. PARCELA P12.1 DEL PLAN PARCIAL DE ORDENACIÓN EN SUELO NO DELIMITADO DEL SECTOR LAS LOMAS II DEL AYTO DE VALDEFRESNO. USO: RESIDENCIAL. APROVECHAMIENTO:6815,31M2. Nº DE VIVIENDAS:46.FINCAS APORTADAS:1,2 Y 3 DEL PROYECTO,O REGISTRALES NºS 12.352,12.351 Y 8.586 DE DICHO AYUNTAMIENTO. SUPERFICIES: TERRENO:4386,87M2.LINDEROS:NORTE,EN LINEA RECTA CON DOS PEQUEÑOS CHAFLANES EL 1ºA LA IZDA U OESTE Y EL 2ºAL ESTE CON VIAL,SUR,EN LINEA RECTA Y 2 PEQUEÑOS CHAFLANES,ESTE Y OESTE L.RECTA.NO TIENE REF.CATASTRAL PROPIA. PARCELA INCLUIDA EN LA CATASTRAL:24178A523001220000BS.

Más información sobre esta subasta

Esta subasta pública incluye pisos, casas, trasteros, garajes y solares embargados. Aprovecha la oportunidad de pujar online de forma segura y conocer los detalles de cada bien subastado.

Consulta todas las subastas en nuestra web para encontrar subastas de inmuebles, pisos, casas y solares en distintas provincias y municipios. Mantente informado sobre los precios iniciales, valoraciones y estado de cada subasta.

Subastas relacionadas

Explora más subastas