Finca rústica en BARREIROS

Visitas: 41 · BARREIROS · Lugo

📅 Procesada hace 1 año
Finca rústica en BARREIROS imagen 1
1 / 5
⏰ Finalizada

Finalizó hace 1 año

Valoración inicial: 15.153,00 €

Valor actual de la puja: Sin valor

Descripción

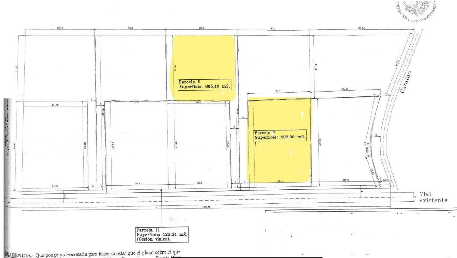
NATURALEZA DE LA FINCA: RÚSTICA, MUNICIPIO: BARREIROS,PARAJE: ZONA DE BENQUERENCIA NOMBRE DE LA FINCA: FIEIRO DESCRIPCIÓN: PARCELA 7.- PROCEDENTE DE LA FINCA 3-31 Y 3-32 DE LA CONCENTRACIÓN PARCELARIA DE BENQUERENCIA.- SUPERFICIE AREA DEL TERRENO: 6,069 ÁREAS LINDEROS: NORTE: CON LA PARCELA 8 PROCEDENTE DE ESTA FINCA. SUR: PARCELA 11 DESTINADA A VIAL Y QUE LA SEPARA DE CAMINO PÚBLICO. OESTE: PARCELA 9 PROCEDENTE DE ESTA FINCA. ESTE: PARCELA 8 PROCEDENTE DE ESTA FINCA.

Más información sobre esta subasta

Esta subasta pública incluye pisos, casas, trasteros, garajes y solares embargados. Aprovecha la oportunidad de pujar online de forma segura y conocer los detalles de cada bien subastado.

Consulta todas las subastas en nuestra web para encontrar subastas de inmuebles, pisos, casas y solares en distintas provincias y municipios. Mantente informado sobre los precios iniciales, valoraciones y estado de cada subasta.

Subastas relacionadas

Explora más subastas