Vivienda en FONDON

Visitas: 7 · FONDON · Almería

📅 Procesada hace 4 años
Vivienda en FONDON imagen 1
1 / 5
⏰ Finalizada

Finalizó hace 4 años

Valoración inicial: 96.415,00 €

Valor actual de la puja: Sin valor

Descripción

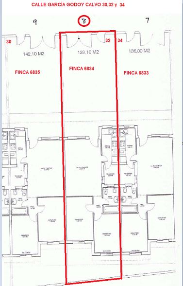
VIVIENDA UNIFAMILIAR MARCADA CON EL NUM. 8 DEL PROYECTO Y CON EL NUM. 8 DE LOS ELEMENTOS INDEPENDIENTES QUE DA A CALLE DE NUEVA APERTURA DENOMINADA A EN EL TERMINO DE FONDON

Más información sobre esta subasta

Esta subasta pública incluye pisos, casas, trasteros, garajes y solares embargados. Aprovecha la oportunidad de pujar online de forma segura y conocer los detalles de cada bien subastado.

Consulta todas las subastas en nuestra web para encontrar subastas de inmuebles, pisos, casas y solares en distintas provincias y municipios. Mantente informado sobre los precios iniciales, valoraciones y estado de cada subasta.

Subastas relacionadas

Explora más subastas